ケラ
さんの情報は

ケラ

生没年不詳

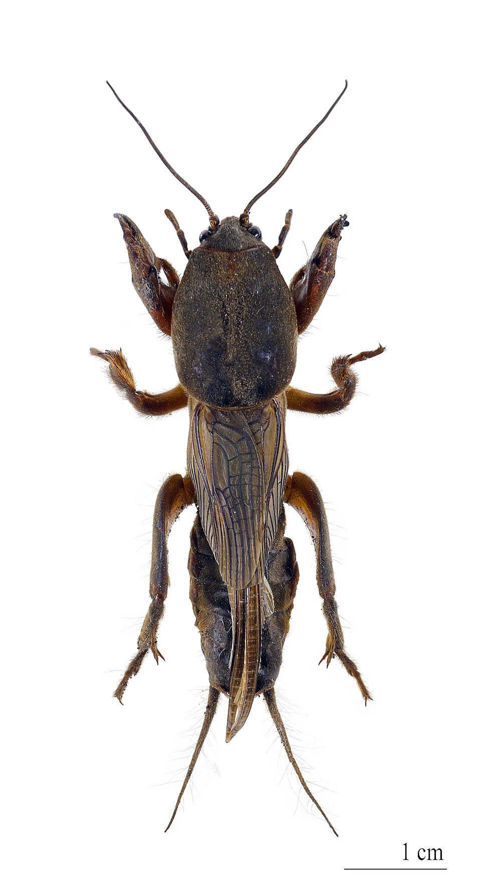
ケラ(螻蛄)は、バッタ目(直翅目)・キリギリス亜目・コオロギ上科・ケラ科(Gryllotalpidae)に分類される昆虫の総称。コオロギ類の中には地下にトンネルを掘って住居とするものがいくつか知られているが、ケラは採餌行動も地中で行うなど、その中でも特に地中での生活に特化したグループである。 日本にはその中の一種ケラ Gryllotalpa orientalis Burmeister, 1839(G. fossor Scudder, 1869 とも)が分布し、単にケラと言った時にはこの種を指すことが多いが、世界中の熱帯・温帯に多くの種類が分布している。日本ではおけらという俗称で呼ばれることも多い。「虫けら」とは虫全般を指すのであって、ここでいうケラとは関係ない。

※Wikipediaの情報から機械的に算出しています。
情報の正確性を保証するものではありません。

ケラ科 Gryllotalpidae
生息年代: 前期白亜紀現世 115–0 Ma
Gryllotalpa gryllotalpa
分類
: 動物界 Animalia
: 節足動物門 Arthropoda
: 昆虫綱 Insecta
: バッタ目(直翅目) Orthoptera
亜目 : キリギリス亜目(剣弁亜目) Ensifera
上科 : コオロギ上科 Grylloidea
: ケラ科 Gryllotalpidae
Saussure, 1870

Wikipediaのカテゴリー

「ケラ」をWikipediaで調べる

「ケラ」さんについての一言コメント

読み込み中...